Dự kiến chiều 18/11 tới đây, UBND quận Bắc Từ Liêm (Hà Nội) sẽ đưa ra đấu giá khu đất 14.892m2 thuộc phường Cổ Nhuế 2 và Xuân Đỉnh. Trong đó, có 9.660,9m2 xây dựng nhà ở liền kề tại các lô có ký hiệu A1, A2, B1, B2 và B3; 5.231,1m2 đất xây dựng các công trình sân chơi, cây xanh, đường giao thông nội bộ.
Theo quy hoạch 1/500 được phê duyệt, mật độ xây dựng khu đất này là 51%, tầng cao công trình 5 tầng, hệ số sử dụng đất 2,6 lần.
![]() |
| UBND quận Bắc Từ Liêm (Hà Nội) chuẩn bị đưa ra đấu giá 14.892m2 đất tại phường Cổ Nhuế 2 và Xuân Đỉnh, giá khởi điểm 112,4 triệu đồng/m2. Ảnh minh hoạ |
Đơn vị thực hiện cuộc đấu giá này là Công ty Đấu giá Hợp danh số 5 – Quốc gia, địa chỉ số 193 Hoàng Văn Thái, phường Khương Trung, quận Thanh Xuân, TP. Hà Nội; đại diện tổ chức cuộc đấu giá này là Ban Quản lý dự án đầu tư xây dựng quận Bắc Từ Liêm.
Theo thông báo mời đấu giá, 9.660,9m2 đất tại các ô có ký hiệu A1, A2, B1, B2 và B3 có giá khởi điểm là 112,4 triệu đồng/m2, được UBND TP. Hà Nội phê duyệt tại Quyết định số 5020/QĐ-UBND ngày 6/10/2023.
Phương thức đấu giá theo phương thức trả giá lên với bước giá là 300.000 đồng/m2.
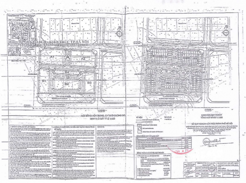
![]() |
| Sơ đồ khu đất đấu giá. |
Tổ chức trúng đấu giá quyền sử dụng đất sẽ được Nhà nước giao đất có thu tiền sử dụng đất, thời hạn sử dụng 50 năm kể từ ngày phê duyệt kết quả trúng đấu giá; người mua nhà ở gắn liền với quyền sử dụng đất được sử dụng ổn định, lâu dài.
Nhà đầu tư tham gia đấu giá khi nộp hồ sơ đăng ký tham gia đấu giá phải nộp khoản tiền đặt trước bằng 20% giá trị khu đất theo giá khởi điểm của ô đất đấu giá, tương đương với khoảng 217 tỷ đồng.
Trước đó, khu đất này đã được UBND TP. Hà Nội phê duyệt phương án đấu giá vào tháng 3/2020. Thời điểm này, UBND TP. Hà Nội dự kiến sẽ thu về khoảng 483 tỷ đồng từ việc đấu giá quyền sử dụng đất.
Tới tháng 10/2023, UBND TP. Hà Nội phê duyệt điều chỉnh giá khởi điểm lên 112,4 triệu đồng/m2, tương ứng với giá khởi điểm cả khu đất là 1.085 tỷ đồng, cao hơn gấp 2 lần dự thu vào năm 2020.







